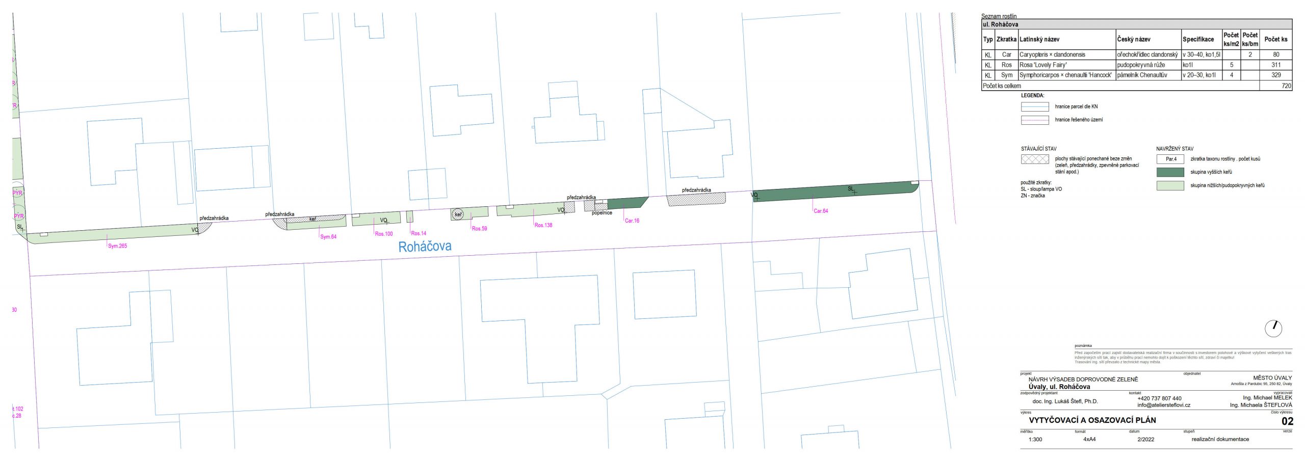
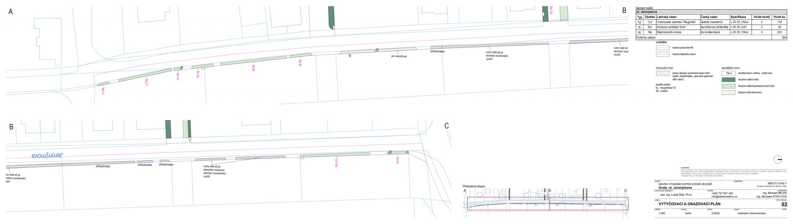
Zahradní architekt pan Doc. Ing. Lukáš Štefl, Ph.D. pro nás letos připravil, na základě požadavků města, balíček projektových dokumentací k ozelenění částí Úval – Radlická čtvrť a Slovany. Jedná se o rozsáhlou ozeleňovací akci, v celkové hodnotě 4,5 mil. Kč bez DPH. Vzhledem k tomu, že se jedná o rozměrově velké plochy, které nelze ekonomicky zrealizovat během jednoho roku, rozhodlo vedení města pro letošní rok o zkrášlení ulic Poděbradova, Jeronýmova, Táboritská, Roháčova a částečně ulice Chelčického. Sázet se bude v duchu nízkonákladové a máloúdržbové zeleně, s převahou půdopokryvných nebo nízkovzrůstných keřů, které jsou krásné nejen květy, ale i olistěním. Z biologicky málo zajímavého, ekonomicky náročného, často sečeného trávníku se nám tak stanou aktivní a živé plochy, které budou domovem pro malé živáčky a lahodící podívanou pro vaše oko. Výsadby se ujala společnost Bonsoft s.r.o., která s městem Úvaly uzavřela rámcovou smlouvu o dílo. Než však mohlo dojít k samotným zahajovacím pracím, pronásledoval nás opět neustálý nedostatek sadebního materiálu a hlavně prudký nárůst cen a jejich krátkodobá garance.
Osazovací plány ulic: Slovany
| Chorvatská | Lužická | ||
![]() |
![]() |
||
| Ruská | Srbská | ||
![]() |
![]() |
Osazovací plány ulic: Radlická čtvrť
| Chelčického | Jeronýmova | Poděbradova | ||
![]() |
![]() |
![]() |
||
| Roháčova | Táboritská | |||
![]() |
![]() |








